Un doble ciclón está generando alertas en gran parte de Argentina, según el Servicio Meteorológico Nacional (SMN). Este fenómeno meteorológico, que se formará en el sur de Brasil, promete fuertes tormentas y vientos intensos, afectando diversas regiones del país a partir del próximo jueves.
La formación del ciclón en Brasil que impactará en Argentina
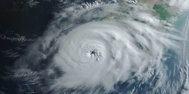
El ciclón se originará en Río Grande do Sul, Brasil, desde el 6 de noviembre hasta el 8 de noviembre. Durante este periodo, se anticipan valores de presión que oscilarán entre 994 y 995 hPa. Las condiciones en el sur de Brasil incluirán vientos de hasta 100 km/h y posibles acumulaciones de 100 mm de lluvia en 24 horas, lo que posteriormente se trasladará hacia Uruguay y Argentina.
Un frente helado llega a Argentina
Esta interacción ciclónica causará un descenso notable en las temperaturas argentinas. Según el SMN, la ciudad de Buenos Aires experimentará mínimas de 7°C el jueves, alcanzando los 6°C el sábado por la mañana. Sin embargo, la amplitud térmica permitirá que las máximas del día alcancen hasta 20°C, generando condiciones climáticas cambiantes.
Se viene un ciclón: ¿a qué zonas afectarán las lluvias y el frente frío?
El sistema de ciclogénesis influirá en una amplia variedad de provincias del país, que incluirán a Misiones, Corrientes, Formosa, Chaco, Santa Fe, Entre Ríos, Santiago del Estero, Jujuy, Salta, La Rioja, Catamarca, San Juan, Mendoza, San Luis, Córdoba y Buenos Aires. La llegada de este sistema se espera para el jueves, trayendo consigo tormentas y lluvias intensas.
¿Qué es un ciclón y qué efectos trae?
Un ciclón es un fenómeno atmosférico que se caracteriza por la rápida rotación de masas de aire alrededor de una zona de baja presión. Este fenómeno provoca vientos intensos y lluvias abundantes. En el hemisferio sur, como en Argentina, los ciclones giran en sentido horario, y su intensidad puede ser clasificada como huracanes o tifones en otras regiones.
Los niveles de alerta del SMN
El SMN ha establecido diferentes niveles de alerta meteorológica para informar a la población:
- Alerta verde: No se esperan fenómenos peligrosos.
- Alerta amarilla: Posibilidad de eventos con capacidad de daño.
- Alerta naranja: Eventos que pueden ser peligrosos.
- Alerta roja: Se espera la ocurrencia de fenómenos con potencial de provocar emergencias o desastres, destacando la necesidad de seguir las instrucciones oficiales.
Estas alertas permiten a la población estar informada y prepararse ante posibles eventualidades climáticas.


















